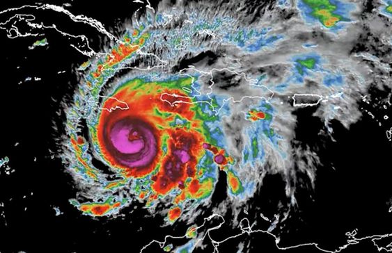
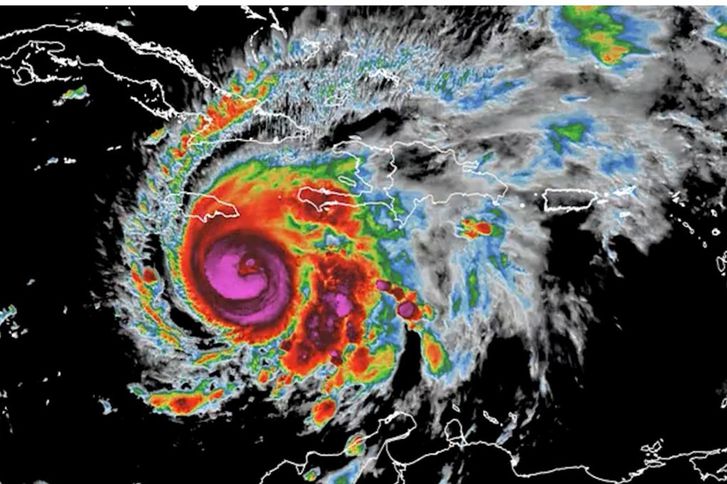
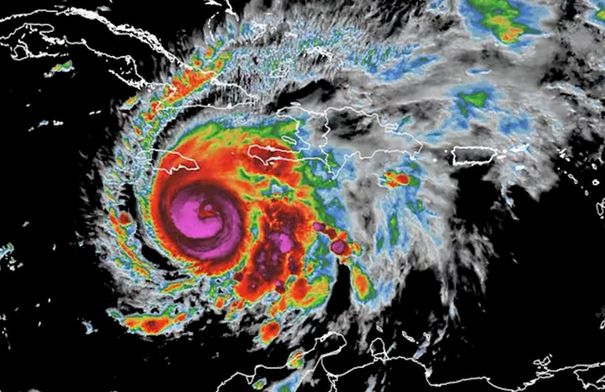
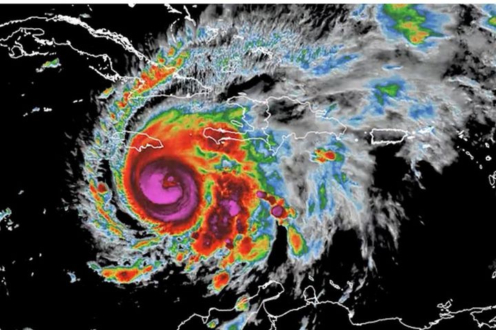
وأعلنت السلطات حالة الطوارئ القصوى وأمرت بإجلاء عشرات الآلاف من سكان المناطق الساحلية، فيما حذّر المركز الوطني للأعاصير الأمريكي من انهيارات هيكلية وانقطاع واسع للكهرباء والاتصالات.
وبحسب تقارير ، عُزلت بعض المناطق عن باقي البلاد نتيجة انهيارات الطرق وانقطاع الخدمات مع اقتراب الإعصار من اليابسة.
More footage from inside the eye of Category 5 Hurricane Melissa 😮 pic.twitter.com/FhzDWrD0Rv— Latest in space (@latestinspace) October 27, 2025
-
أخبار متعلقة
-
اللص الخفي.. جهاز منزلي يستهلك كهرباء تعادل 65 ثلاجة
-
خلاف على الحلوى يحوّل زفاف هندياً إلى اشتباك عنيف بين العائلتين (فيديو)
-
محاولات إنقاذ مستمرة لطفلة سقطت في بئر جاف بريف إدلب - فيديو
-
اندلاع حريق بطائرة إيرباص A320 في البرازيل (فيديو)
-
لؤلؤة أبوظبي.. كنز عمره 8000 سنة يجذب زوار متحف زايد الوطني - صورة
-
ابتكار ثوري: أول مأوى بشري على المريخ قد يُصنع من مصدر غير متوقع
-
نباتات منزلية تتحمل البرد وتزدهر في الشتاء
-
جدل واسع ينتهي بحظر Roblox في هذه الدولة
